oh, schade. Ich habe deinen Tip ausprobiert mit den Haferkissen, habe allerdings nur eine andere Marke bekommen, sie werden zumindest gerade geknurpst. Danke für die Idee.chaya93 hat geschrieben: 16. Nov 2024, 11:00 @Elfe Chicoré geht hier leider nicht. Allgemein ist Frischfutter leider nicht so Idas Ding![]()
Noch so'n Spruch - Kieferbruch
Forumsregeln
Wichtig: Das Forum ersetzt niemals einen Tierarztbesuch! Bedenkt, dass die meisten hier Laien sind, Antworten dauern können und zudem eine Ferndiagnose kaum möglich ist.
Werft bitte vor einem Beitrag einen Blick in unseren Thread mit wichtigen Hinweisen und weiterführenden Links und nutzt ggf. auch die Suche-Funktion. Die Beiträge der Forenteilnehmer entsprechen nicht zwingend der Meinung des Moderatorenteams bzw. der Betreiber.
Wichtig: Das Forum ersetzt niemals einen Tierarztbesuch! Bedenkt, dass die meisten hier Laien sind, Antworten dauern können und zudem eine Ferndiagnose kaum möglich ist.
Werft bitte vor einem Beitrag einen Blick in unseren Thread mit wichtigen Hinweisen und weiterführenden Links und nutzt ggf. auch die Suche-Funktion. Die Beiträge der Forenteilnehmer entsprechen nicht zwingend der Meinung des Moderatorenteams bzw. der Betreiber.
Re: Noch so'n Spruch - Kieferbruch
Das Leben des Frauchens durchwirbelnd
: Muffin, Streusel, Gucci, Nougat und Brownie
: Keksie und Toffee
- tscharimari
- Beiträge: 2643
- Registriert: 17. Mär 2011, 07:35
- Postleitzahl: 81825
- Land: Deutschland
- Wohnort: München
Re: Noch so'n Spruch - Kieferbruch
Go Ida go
... du bist schließlich DAS "Super-Model" für die diesjährigen Geburtstagmails 
Re: Noch so'n Spruch - Kieferbruch
Hut ab das die kleine Ihren Funken bis heute nicht verloren hat und sich wieder ins Leben kämpft und alles so gut mitmacht. Auch dir meinen höchsten Respekt all das mit ihr durchzustehen.
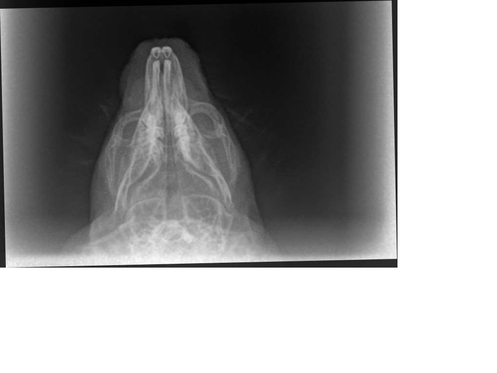
Die Röntgenbilder waren auch sehr Interessant anzusehen. Leider sieht man auf der seitlichen Aufnahme nicht sonderlich viel von dem Bruch, da sich der Knochen scheinbar nicht nach oben/unten verschoben hat.
Auf der anderen Aufnahme sah es für mich allerdings so aus, dass sich der Knochen auch ein Stück zur Seite verschoben hat. Die Bruchstelle hab ich mal eingekreist und für mich sieht es so aus, als ob die rechte und linke Hälfte des Kiefers betroffen sind.
Zum Vergleich eines von Diabolo LG
Viktor
Die Röntgenbilder waren auch sehr Interessant anzusehen. Leider sieht man auf der seitlichen Aufnahme nicht sonderlich viel von dem Bruch, da sich der Knochen scheinbar nicht nach oben/unten verschoben hat.
Auf der anderen Aufnahme sah es für mich allerdings so aus, dass sich der Knochen auch ein Stück zur Seite verschoben hat. Die Bruchstelle hab ich mal eingekreist und für mich sieht es so aus, als ob die rechte und linke Hälfte des Kiefers betroffen sind.
Zum Vergleich eines von Diabolo LG
Viktor
- chaya93
- Vorstand
- Beiträge: 18463
- Registriert: 1. Mär 2018, 10:36
- Postleitzahl: 85084
- Land: Deutschland
Re: Noch so'n Spruch - Kieferbruch
@Viktor.K laut TA war / ist es auch ein doppelter Kieferbruch, deine Einkreisung könnte also stimmen
die letzten zwei Tage gefällt mir die Maus leider nicht. Nachdem sie erst wieder ein bisschen zugenommen hat, geht es jetzt wieder in die falsche Richtung, sodass ich wieder über die Spritze zufüttere.
Eigentlich wäre heute auch ein Termin zum Zähne kürzen, der wurde aber auf morgen verschoben.
Ich vermute nämlich, dass ihr aktuell die Schneidezähne Probleme machen und dass sich ggf. auch einige Spitzen entwickelt haben. Das letzte Kürzen der Vorderzähne ist ja nun doch schon 20 Tage her und richtig abgenutzt wird ja nix.
Also hoffen wir mal, dass morgen wieder eine Besserung eintritt
die letzten zwei Tage gefällt mir die Maus leider nicht. Nachdem sie erst wieder ein bisschen zugenommen hat, geht es jetzt wieder in die falsche Richtung, sodass ich wieder über die Spritze zufüttere.
Eigentlich wäre heute auch ein Termin zum Zähne kürzen, der wurde aber auf morgen verschoben.
Ich vermute nämlich, dass ihr aktuell die Schneidezähne Probleme machen und dass sich ggf. auch einige Spitzen entwickelt haben. Das letzte Kürzen der Vorderzähne ist ja nun doch schon 20 Tage her und richtig abgenutzt wird ja nix.
Also hoffen wir mal, dass morgen wieder eine Besserung eintritt
Anna
Aktuell wohnhaft in der Residenz: Kalle & sein Harem
: Bacardi, Cola, Willi, Rambo, Törring, Captain, Dumbo, Carlos, Tim, Murphy, Diegu, Bob, Levi, Alfi, Ringo, Merlin, Jerry, Teddy, Stumpi, Scratch, Brokkoli, Frodo, Fritz, Knolle, Butters, Gerda, Hilde, Gretel, Leni, Ida
Aktuell wohnhaft in der Residenz: Kalle & sein Harem
- chaya93
- Vorstand
- Beiträge: 18463
- Registriert: 1. Mär 2018, 10:36
- Postleitzahl: 85084
- Land: Deutschland
Re: Noch so'n Spruch - Kieferbruch
wenigstens frisst sie eifrig aus der Spritze.
der neueste heiße Shit ist übrigens HERBI Care Plus gemischt mit Schmelzflocken, Karottenbrei und Mandelmus.
der neueste heiße Shit ist übrigens HERBI Care Plus gemischt mit Schmelzflocken, Karottenbrei und Mandelmus.
Anna
Aktuell wohnhaft in der Residenz: Kalle & sein Harem
: Bacardi, Cola, Willi, Rambo, Törring, Captain, Dumbo, Carlos, Tim, Murphy, Diegu, Bob, Levi, Alfi, Ringo, Merlin, Jerry, Teddy, Stumpi, Scratch, Brokkoli, Frodo, Fritz, Knolle, Butters, Gerda, Hilde, Gretel, Leni, Ida
Aktuell wohnhaft in der Residenz: Kalle & sein Harem
Re: Noch so'n Spruch - Kieferbruch
Alle Daumen und Pfoten sind weiterhin gedrückt! Freue mich, dass Du was gefunden hast, was sie gerne fressen mag.
LG Frank
LG Frank
Derzeit bei uns und hoffentlich glücklich: Ronja und Porthos
Aramis (14.11.2023), Jerry (20.12.2023), Athos (08.09.2024), Hamster Luici (23.10.2024), Valentina (25.02.2025)
- chaya93
- Vorstand
- Beiträge: 18463
- Registriert: 1. Mär 2018, 10:36
- Postleitzahl: 85084
- Land: Deutschland
Re: Noch so'n Spruch - Kieferbruch
heute Morgen hätte ich übrigens fast die 160g gesehen! Vielleicht morgen
(oder eher übermorgen).
Heute ging es wieder zum Kürzen der Schneidezähne. 2 Wochen sind hier so das Intervall, mit der Ida am besten klarkommt.
Ansonsten gibt es 2-3x täglich einen schönen, kalorienreichen Brei, den sei mit Eifer aus der Spritze frisst.
Das Fell um die Kieferpartie wächst wieder schön nach, da war ja alles nackig vom Kiefer bis zur Brust runter.
Heute ging es wieder zum Kürzen der Schneidezähne. 2 Wochen sind hier so das Intervall, mit der Ida am besten klarkommt.
Ansonsten gibt es 2-3x täglich einen schönen, kalorienreichen Brei, den sei mit Eifer aus der Spritze frisst.
Das Fell um die Kieferpartie wächst wieder schön nach, da war ja alles nackig vom Kiefer bis zur Brust runter.
Anna
Aktuell wohnhaft in der Residenz: Kalle & sein Harem
: Bacardi, Cola, Willi, Rambo, Törring, Captain, Dumbo, Carlos, Tim, Murphy, Diegu, Bob, Levi, Alfi, Ringo, Merlin, Jerry, Teddy, Stumpi, Scratch, Brokkoli, Frodo, Fritz, Knolle, Butters, Gerda, Hilde, Gretel, Leni, Ida
Aktuell wohnhaft in der Residenz: Kalle & sein Harem
- Game
- Schatzmeisterin
- Beiträge: 18618
- Registriert: 2. Nov 2013, 17:44
- Postleitzahl: 83734
- Land: Deutschland
- Wohnort: Hausham
Re: Noch so'n Spruch - Kieferbruch
Aber sie frisst den Brei nur aus der Spritze, oder? Wenn du ihr das Breischälchen so reinstellst frisst sie nicht?
Meine Beiträge sind Forenbeiträge. Sie bleiben im Forum und dürfen nur nach Rücksprache und ausdrücklicher Genehmigung an anderer Stelle als Kopie oder Screenshot veröffentlicht werden.
Liebe Grüße
Gabi
Liebe Grüße
Gabi
- chaya93
- Vorstand
- Beiträge: 18463
- Registriert: 1. Mär 2018, 10:36
- Postleitzahl: 85084
- Land: Deutschland
Re: Noch so'n Spruch - Kieferbruch
doch, das frisst sie auch, aber dann muss ich allen Degus was reinstellen, und das will ich eigentlich nicht 
Anna
Aktuell wohnhaft in der Residenz: Kalle & sein Harem
: Bacardi, Cola, Willi, Rambo, Törring, Captain, Dumbo, Carlos, Tim, Murphy, Diegu, Bob, Levi, Alfi, Ringo, Merlin, Jerry, Teddy, Stumpi, Scratch, Brokkoli, Frodo, Fritz, Knolle, Butters, Gerda, Hilde, Gretel, Leni, Ida
Aktuell wohnhaft in der Residenz: Kalle & sein Harem
- Game
- Schatzmeisterin
- Beiträge: 18618
- Registriert: 2. Nov 2013, 17:44
- Postleitzahl: 83734
- Land: Deutschland
- Wohnort: Hausham
Re: Noch so'n Spruch - Kieferbruch
Ach ja, genau 
Meine Beiträge sind Forenbeiträge. Sie bleiben im Forum und dürfen nur nach Rücksprache und ausdrücklicher Genehmigung an anderer Stelle als Kopie oder Screenshot veröffentlicht werden.
Liebe Grüße
Gabi
Liebe Grüße
Gabi
